

TOUR LOG ~ツアーログ~ 最新のツアー情報を出来るだけ早く皆様にお届けします!
| 2018年6月22日(金)~24日(日) |
| 串本ツアー |
| 海況:うねり&波あり 水温22℃ 透明度 ボート10~15m ビーチ 3~5m |
| 6月も後半戦に入りました~! 梅雨前線が接近の土曜日は、結構な雨が降りましたが、日曜には徐々に天候も回復~(^_-)-☆ 前日のうねりや雨量にも関わらず、日曜にはいい潮が入って、透明度が回復しちゃっていましたよ♪ そんな中、RED ORCAのゲストKさんは、ビーチでOW講習でした! ![]() 土曜の朝はべた凪でしたが、徐々に荒れてきて+川からの水が流れ込み… うねりも大きくなって(>_<)という海況ではありましたが、ガッツで初日を終えられました。 翌日は少しだけ穏やかになったビーチで、ラストダイブへ! ![]() なんとかスキルを頑張って習得していただき、無事にダイバー認定となりました! ![]() Kさん、おめでとうございます~\(^O^)/ ダイビングの楽しさをもっともっと体験しにいらしてくださいね~♪ ボートダイビングでは、クマノミやスズメダイの産卵育児も本格化中! 中に赤ちゃんクマノミの姿がっ!! ![]() 皆、大好きなジョーフィッシュも何度目かの口内保育に入っているようですが、 なかなかタイミングあわないと、卵見せてくれないんですよね~(≧▼≦) ![]() 長い間居ついているイロカエルアンコウさんは、オレンジからだんだんピンクにいろをかえるアンコウに(笑) ![]() 来週末も串本ですが、来週末は穏やかできれいなままの海でのんびり潜れますように♪ ![]() |
| STAFF:春名・堀尾 |
| 2018年6月15日(金)~17日(日) |
| 柏島ツアー |
| 海況:穏やか 水温24~25℃ 透明度 15~20m |
| 水温上昇中の柏島へ行って来ました~! そろそろウェットダイバーも増えてきましたね(^-^) 透明度も良好、水温もあったかで、快適な海で、たっぷり潜って来ました♪ まずは肩慣らししつつ、ストーンウォールへ! ホムラハゼを狙いましたが、残念ながらお留守… 砂地では、ヒレナガネジリンボウやキツネメさんもいました! そして、そして、パラディオーナーのライトが呼んでいます~\(^O^)/ 行ってみると…超レアのナミダカサゴが見つかりました~!! ボロカサゴより貴重なナミダカサゴとの出会いに感動しちゃいました! ![]() 甲殻類も充実の、ラストは巨大オオモンカエルアンコウちゃんでしめました! さて、2本目は後浜が混み合っていたのでレッドロックへ! まずはホタテツノハゼさんにご挨拶♪ |
| 出会った生物 16日(土) ストーンウォール:ナミダカサゴ・ヒレナガネジリンボウ・キツネメネジリンボウ・トゲコマチガニ・コンペイトウコブシガニ・ホヤカクレエビ・アマミスズメダイyg・ハナキンチャクフグyg・オオモンカエルアンコウ・アオリイカなど レッドロック:ホタテツノハゼ・キツネメネジリンボウ・ヒレナガネジリンボウ・ネジリンボウ・ハチマキダテハゼ・ウミテング・黄色いダルマオコゼ・サガミツノメエビ・ジョーフィッシュ・サンゴヒメエビ・ゼブラガニ・コウワンテグリyg・ヨゴレヘビギンポのケンカ・キンセンイシモチ口内保育など 後浜3番ブイ:クダゴンベのペア・ゴルゴニアンシュリンプ・キツネベラyg・コミドリリュウグウウウミウシ・タテジマヘビギンポ・ハリンセンボン・クマノミ超ちびっこ・コクテンカタギyg・ミツイラメリウミウシ・ヒトデヤドリエビonマンジュウヒトデ・バサラカクレエビ・ノコギリハギyg・コケギンポyg・ソラスズメダイ山盛りなど 17日(日) 民家下北北:アケボノハゼ・ウミウシカクレエビ3匹onイッサイフシエラガイ・タテジマヤッコ・ヒオドシベラyg・ジョーフィッシュ・ヒメウツボ・ゴールデンイールモレイ・イシヨウジ・コラリコーラ(エビ)・イガグリウミウシ・ニシキウミウシyg・ヒメキンチャクガニ・マツバギンポ・コケギンポyg・クマノミの卵など 後浜6番ブイ:ピグミーシーホース・クダゴンベ・ヒレナガネジリンボウ・ホヤカクレエビ・クロスジリュウグウウミウシ・アライソコケギンポ・チシオコケギンポ・コケギンポ・ソラスズメダイ&キンギョハナダイ乱舞など |
| ツアーフォトはこちら |
| STAFF:春名・堀尾 |
| 2018年6月8日(金)~11日(月) |
| 沖縄 久米島ツアー |
| 海況:穏やか→うねりあり 水温26~28℃ 透明度 20~30m インリーフ 8m |
| 毎年恒例の6月は久米島へ行って来ました~!! 出発前から天気図には不穏な空気…ではありましたが、 出たとこ勝負にうんと強いレッドオルカチーム、勝負をかけて?(おおげさですね) 久米島へ行って来ました~(^-^) すると、お天気なんて青空が広がり、 島の南側こそうねりが入っていましたが、 北側のポイントは穏やかです(*^_^*) 早速、皆大好きなギンガメアジに会えるあのポイントへ~!! すると…会えちゃいましたよ~\(^O^)/ ![]() 早速の登場に思わずダッシュのゲスト様です(≧▼≦) 太陽もでて、いい感じの群れに出会うことができました! ![]()
|
| 出会った生物 8日(金) イマズニ:ギンガメアジの群れ(200匹)・サバヒーの群れ・ハクテンカタギのペア・アカネハナゴイの群れ・カスミチョウチョウウオの群れなど イチュンザ沖:リュウキュウキッカサンゴの群生・ホソカマスの群れ・セジロクマノミ・メレンゲウミウシ・巨大ドクウツボ・ミゾレウミウシなど 9日(土) イマズニ:ギンガメアジの群れ(500匹!)・カスミチョウチョウウオの群れ・アカネハナゴイの群れ・アカククリ・コガシラベラの産卵など ウーマガイ:スミレナガハナダイ・フチドリハナダイ・ハナゴンベ・クダゴンベ・ハナゴイ群れ・カスミチョウチョウウオ群れ・グルクン群れ・マダラタルミ高校生・ヒレナガヤッコ♂・ゼブラハゼいっぱい・キイロウミウシなど トンバラザシ:アカテンイロウミウシ、シンデレラウミウシ、アデヤカミノウミウシ・グロッソドーリストムスミスイ・ユキヤマウミウシ・ゾウゲイロウミウシ・キスジカンテンウミウシ・テングカワハギのペアなど 10日(日) ナングチモドキ:ピグミーシードラゴン・極小ヒレナガスズメダイyg・極小オビテンスモドキyg・デバスズメダイ群れ・ツバメタナバタウオ・ハタタテサンカクハゼ・オウゴンニジギンポyg・スイジガイ・カイカムリなど |
| ツアーフォトはこちら |
| STAFF:春名 幡司 |
| 2018年6月1日(金)~4日(月) |
| RED ORCA初!函館ツアー |
| 海況 穏やか 水温10~12℃ 透明度 5~6m |
| 行って来ました函館♪ RED ORCA初となる北海道は『函館』の海! 私達にとっては全くの未知の世界! 水温8℃というだけでも、どうしよう~という感じですが、 水温8℃でも大丈夫なように装備もばっちり準備して出発です♪ もちろん!北海道は食べ物もおいしいですよね! 今回のツアーは、未知の海も美味しい食べ物も両方贅沢しちゃう一石二鳥ツアーでもあるので この後、たっぷりツアーの美味しい様子をご紹介します! 到着後、ホテルにチェックインした後はさっそくお食事へ。 まずは居酒屋『函館山』へ! ![]() 北海道の居酒屋さんで出てくるお料理も衝撃がいっぱい♪ バイオフィン級にデカイ根ほっけ! さらにはじゃがバター! 北海道民はレギュラーで塩辛がのっているそうで、これがまたうまい~ 一軒目でお腹いっぱいですが、お決まりの函館塩ラーメン! ![]() お腹いっぱいのまま、朝起きたらホテルの朝食! 朝から贅沢にも海鮮~ ![]() ![]() 朝からいくら丼もできちゃいます(⋈◍>◡<◍)。✧♡ そして、たっぷり栄養付けてダイビングへ♪ 今回お世話になるグラントスカルピンさんに到着! 今回は一眼のゲスト様ばっかり~ 詳しいブリーフィングを聞いて作戦会議! ![]() みんなちょっと慣れない装備の上、最干潮時でエントリーはなかなか大変でしたが、 アシスタントのN君のおかげで無事にエントリー完了♪ まずはメンズチームとレディースチームに分かれてスタート! メンズチームはアマモ場、レディースチームは海そうの生い茂るオアシスへ! レディースチームはガイドさんが次から次に見つけてくれるゴッコこと『ホテイウオ』の赤ちゃんにうっとり~ ![]() じっくり写真を撮ってたんですが、この時メンズチームには大惨劇が(笑) 巨大なミズダコの襲撃~~ ![]() わかります?ダイバーに絡みついてるミズダコ! 社長以外の全員が襲われるという悲劇・・・ 大事な一眼レフを奪われそうになって格闘する人もいれば はたまた冷静に急所を突いてタコを退散させる人もいたり~ あまりにも激しく襲われるので、その場を一旦退散! ホッと一息と思ったら~~~ ついて来とるやん!!Σ(・□・;)と1本目はメンズチームはミズダコとの格闘で ほぼ撮影できず・・・(笑) レディースチームはのんびりしたものでしたけどね(^_-)-☆ 2本目はリクエストにもあった『ヤリガジ』の卵! ![]() この卵、よーく見ると一粒ずつ金平糖みたいになってるんです。 凄くデリケートだそうで、みなさん慎重に撮影! そして、アツモリウオ! ![]() お鼻が天狗みたいにびよ~んと伸びてます! 凄くかわいいんですが、めっちゃ小さい(笑) それ以外にもフサトゲニチリンヒトデや北海道にしかいないナメダンゴちゃん!! ![]() そして、超ビックリだったのが、人懐っこすぎるフサギンポ! ![]() 写真撮ってると、懐に潜りこんでくる(笑) Fさんはチュウされたんだとか(⋈◍>◡<◍)。✧♡ 唇・・・やわらかかったって・・・(笑) そんなこんなで1日目のダイビングは終了! 帰りの車の中ですでにプシュっと言わせながら、ホテルへ♪ ![]() カメラの片づけをして、晩御飯へ! 2日目は居酒屋『魚一心』へ。 この日解禁になったスルメイカの活け造り! ![]() 普段食べてるイカと全然味が違うのです~ 他のお刺身ももちろん絶品!! 中でもこのハラスは極上の一品でした~! ![]() 脂のりのり♪ もう食べれません!ってくらいお腹いっぱい~♪
|
| 出会った生物 2日(土)~3日(日) 前浜×4:巨大ミズダコ・シワイカナゴ&卵・ゴッコ(ホテイウオ)yg・フサトゲニチリンヒトデ・フサギンポ・ヤリガジ&卵・ナメダンゴ・ヒメフタスジカジカ・アサヒクラゲ・ウニの放精&放卵など |
| ツアーフォトはこちら |
| STAFF:春名 幡司 |
| 2018年6月1日(金)~3日(日) |
| 串本ツアー |
| 海況 穏やか 水温20~22℃ 透明度 10~15m |
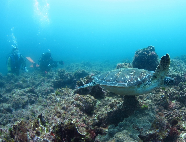
| 6月に入りました!いよいよ梅雨入りも間近な中、最後の晴れ間を満喫してきましたよ! 海も穏やかで、透明度も回復傾向、ダイバーは少な目、でのんびりまったりできました! まずは、ワイド撮影のSぼんは幸せのアーチやシンデレラ城までお散歩してのワイド三昧! ![]() 久々ダイビングのお二人は、のんびり水中散歩を楽しみながらスキルを思い出しました! 2本目の備前では、アオリイカの産卵床へ! 1ペア+ちらほらでしたが、産卵シーンを間近で見ることができました! ![]() 3本目のグラスワールドでも産卵床へ!すると…めちゃくちゃいっぱい来てます! まだ今から始まるタイミングのペアや、独り者でメスを奪いにきているものも多かったですが、 5ペア+シングル5以上はいたんじゃないでしょうか~(*^_^*) ![]() 今がまさに旬なシーンをじっくり堪能してきました! 翌日もいいお天気&べた凪です! 大好きな場所を選ぼうとすると、ポイントは前日と同じになっちゃいますね~。 まずは吉右衛門、幸せのアーチへ全員Let’s Go!! アーチをくぐったお二人は上手にくぐれたそうなので、きっと幸せなことありますよ♪ そして、2本目の備前は、前日は行っていないアザハタエリアへ! 貸切でアザハタちゃんを撮影したり、クリーニングのエビさんを観察したり、 全員エンリッチドエアだったので、窒素を気にせずのんびりできましたね(^-^) ラストダイブは、グラスワールドで久々にカメさんを探しに行くコースへ! 100本以上潜っている串本ダイバーのSボン、 意外にもまだ1回しかカメを見たことがないそうで、2度目のカメとの遭遇でした! ![]() 二日間で6ボートダイブ、のんびり満喫でしたね(^-^) ご参加いただきました皆様、有難うございました! またお待ちしております(*^_^*) ![]() |
| 出会った生物 2日(土) 吉右衛門:スミレナガハナダイ♀・サクラダイ♀・カグヤヒメウミウシ・ムラサキウミコチョウ・イサキの大群・グルクンの群れ・キホシスズメダイ群れ・コロダイ群れ・ミナミハコフグyg・オルトマンワラエビ・ユカタハタなど 備前:アオリイカの産卵・オオウミウマ・ミスガイ・ミスジスズメダイ・ニザダイ群れ・ムラサキウミコチョウ・ビシャモンエビ・オルトマンワラエビ・ムチカラマツエビなど グラスワールド:・アオリイカの大産卵ショー・ジョーフィッシュ・カゴカキダイ群れ・イガグリウミウシ・ナガサキスズメダイ群れ・コブハマサンゴなど 3日(日) 吉右衛門:スミレナガハナダイ・カグヤヒメウミウシ・キャラメルウミウシ・ニシキウミウシ・キンギョハナダイ群れ・ナガサキスズメダイ群れ・キホシスズメダイ群れなど 備前:アザハタ・アカシマシラヒゲエビ・サラサエビ・フタイロハナゴイ・ケラマハナダイ・テングダイ・オオウミウマ・マダライロウミウシ・ムラサキウミコチョウ・ホウライヒメジ群れなど グラスワールド:アオウミガメ・イロカエルアンコウ・ジョーフィッシュ・アオモウミウシ・ソラスズメダイ群れ・タコ・シコロサンゴ・ニザダイの群れ・コロダイ群れなど |
| ツアーフォトはこちら |
| STAFF:堀尾 |