![]() |
![]() |
まずは初パラオのTさんのパラオ作品です(*^_^*) パラオっぽくない感じもしますが 実はパラオには こーんなにキレイなサンゴとアカネハナゴイの群れが乱舞する 癒しポイントもあるんですよ〜♪ |
| ウーロンチャネルに溜まっていた?! ホウセキキントキの大群!! 入り乱れてます\(^O^)/ |
![]() |
![]() |
シアスコーナーで出会ったパラオの神様 マダラトビエイの赤ちゃんでした〜♪ 可愛かったなぁ(^○^) |
| こちらはマクロレンズ装備の渾身の一枚! 黒抜きでひるがえった瞬間 かっこいいですね〜(^-^) |
![]() |
![]() |
振り返ればヤツがいる 的にでてくる ナポレオンちゃんです! 青い海を気持ち良さそうに泳いでますね(*^_^*) |
| インドオキアジの大群は まさに光物! ギラギラした感じがでております!! |
![]() |
![]() |
パラオはサメパラダイスでしたね〜っ! 初パラオで初ブルーコーナーは もう興奮が止まりませんよね(^_-)-☆ |
| Tさんもイルカの群れ ジャンプした瞬間を ばっちり激写です(^○^) |
![]() |
![]() ここからは、パラオリピーターのFさんの作品です! チェックダイブのゲメリスウォールで出会ったオキフエダイの大群! そういえば、今まであんまり見たことのない魚でした。 どうやら産卵に備えて集まってきていたっぽいです(^-^) |
|
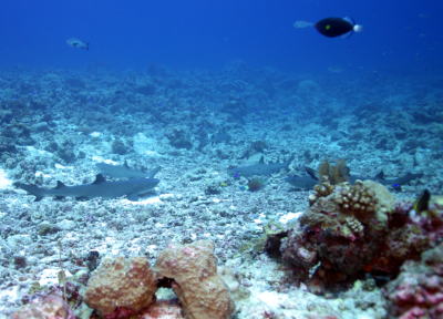
| ブルーコーナーの棚の砂地では まさに「眠りブカ」で集団睡眠?中でしたよ♪ |
![]() |
![]() |
こーんな感じでサメを激写しているのですねぇ。 ダイバーさんが入るとさらに臨場感アップです! |
| こちらもブルーコーナーの棚上の癒し系 ノコギリダイ&ヨスジフエダイの群れに よーく見ると色んな魚が混じっております(´∀`) |
![]() |
![]() |
さぁ、ジャーマンチャネルで大興奮のマンタの乱舞〜! こーんなに目の前で4枚もグルグルしちゃったら そりゃもう冷静ではいられなくなりますよ(≧▼≦) |
| シアストンネル! 地形派ダイバーにも マクロ派ダイバーにもたまらないポイントです(*^_^*) |
![]() |
![]() |
シアストンネルの入り口で群れているギンガメアジ! 深場の撮影に挑戦です! |
| ラストダイブで登場のロウニンアジは 本当に巨大でしたよ!! |
![]() |
![]() |
ブルーコーナーのドロップ沿いに群れている カスミチョウチョウウオの大群が 花吹雪みたいでキレイですね〜! ナポちゃんもうっとりしてたのかな?! |
→ ![]() なんとジャンプしてるペアをよく見ると親子じゃないですか〜(≧▼≦) 赤ちゃんイルカ 可愛すぎます♪ |
|
Copyright (C) Dive Shop RED ORCA All Rights Reserved