|
串本ツアー
2011年9月22日(木)〜25日(日)
![]() |
台風15号も過ぎ去り 穏やかさを取り戻した串本の海へ行ってきました〜!! 海はベタ凪で、お天気もよく お魚もいっぱいで、楽しいダイビングができました♪ そして、そんな中、Sちゃんは200本記念! Nさんはアドバンス取得されました(^-^) おめでとうございます! これからももっと、もーっと潜って行きましょうねo(^o^)o ご参加いただきました皆様、有り難うございました! |
| Sちゃんは、ダイビングを初めて約3年で200本! ・・・ということは、年間60本以上潜っておられます(^○^) スゴイですね〜! いつでも、どこの海でも、楽しそうに潜っている姿が 本当にステキです♪ これからも「もっと潜る」とコメントを頂戴しました! |
![]() |
![]() |
記念撮影には微妙な透明度でしたが Sちゃんには透明度なんて関係ない! スーパー水中お散歩を一緒に楽しみました! これからも宜しくお願いしますね(*^。^*) |
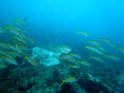
| アカヒメジの群れがどんどん増えていってます! そして、なぜか中にカンパチの子供が混じって ホンソメワケベラさんにクリーニングされていましたよ(^-^) アカヒメジも仲間だと思ってるのかな? |
![]() |
![]() |
日曜の備前には、 すんごいものが現れました〜っ!! キビナゴのものすごい大群に ビュンビュン突っ込む大物の群れ!!!!! カンパチの大群に、ブリやツムブリも混じって 大迫力のダイビングになりました! いや、本当に凄かったです(^○^) |
| かわいらしいフリソデエビのペアも見つかりました! お行儀よくこちらを覗いてますね(^-^) |
![]() |
![]() |
ジョーフィッシュくんも ものすごーいカメラ目線(*^。^*) 目玉がこぼれおちそうですね♪ |
| 何回もの台風を乗り越えて 大きくなってきましたハタタテハゼ♪ まだまだ頑張ってね〜っo(^o^)o |
![]() |
![]() |
ホタテツノハゼも元気にでてましたぁ! 一生懸命エビさんが巣穴を整えていましたよ(*^_^*) |
| まだまだ夜はBBQでーす! 今年も新作が毎回毎回誕生していますよ! |
![]() |
Copyright (C) Dive Shop C.A.A.N All Rights Reserved