|
柏島ツアー
2009年1月16日(金)〜18日(日)
![]() |
2009年1回目の柏島ツアーは、1月! 昨年から始まった1月ツアーですが 昨年同様、GOODコンディション! 快適に潜れました♪ 初めての柏島だった NさんとMさんも 楽しく潜れましたね〜! |
| お魚の多い柏島ですが 甲殻類が今から充実してきます! 色んな子が見つかりますよ。 |
![]() |
![]() |
Nさんの作品集! 手にイソギンチャクをもった キンチャクガニ! きれいに撮れていますね。 |
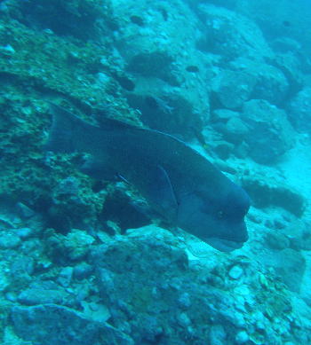
| なんと、アケボノハゼの真上を すーっと泳いだコブダイ! メチャメチャ好奇心旺盛に寄ってきて 大迫力!でしたが アケボノさんが・・・・(泣) |
![]() |
![]() |
こちらは、柏島ダイビングツアー28回目!という Yさん発見の、ハダカハオコゼ! さすがです!!! |
| かくれんぼシリーズ 第1弾! パンダダルマハゼがかくれんぼ(*^-^*) |
![]() |
![]() |
かくれんぼシリーズ第2弾 ピグミーシーホースがかくれんぼ(*^-^*) ピントばっちりですよね〜 |
| 最後には、なんとアオウミガメが登場! 青い海を、気持ちよく泳いでいました♪ |
![]() |
![]() |
潜ったぞ〜♪ 気持ちよかった! |
| アフターダイブは 夕陽を見に、展望台へ! ちょうど日没時刻で とてもキレイな夕陽が楽しめました! |
![]() |
![]() |
次回は3月末開催予定! またのご参加をお待ちしています! ありがとうございました! |
Copyright (C) Dive Shop C.A.A.N All Rights Reserved